高知市加賀野井 新築一戸建て 3070万円 3LDK











/
一覧






















| 価格 | 3,070万円 |
|---|
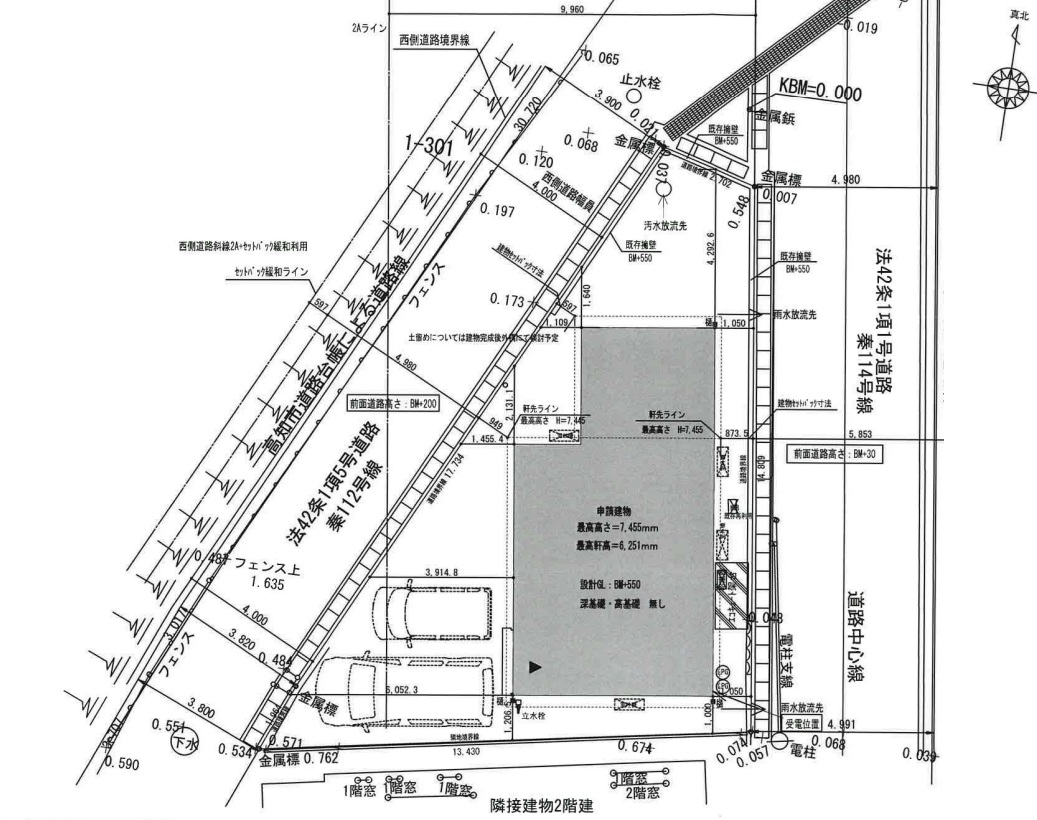
| 所在地 | 高知市加賀野井 | 交通 | 加賀野井第四バス停まで徒歩1分 |
|---|---|---|---|
| 土地面積 | 126.66㎡(約38坪) | 間取り | ・1階17.5LDK・2階6洋、4.4洋、4.4洋 |
33.58182607388341, 133.52407712732258
正確な場所は表示できない場合がございます。詳しい場所はお問い合わせください。
- 所在地
- 高知市加賀野井
- 交通
- 加賀野井第四バス停まで徒歩1分
- 価格
- 3,070万円
- 間取り
- ・1階17.5LDK・2階6洋、4.4洋、4.4洋
- 土地面積
- 126.66㎡(約38.31坪)
- 用途地域
- 第一種低層住居専用地域
- 都市計画
- 市街化区域
- 建ぺい率
- 60%
- 容積率
- 100%
- 建物構造
- 木造
- 延床面積・専有面積
- 84.46㎡(約25.54坪)
- 建物階数
- 2階
- 築年月
- 2026年08月
- 駐車場台数
- 2台
- 現況
- 未着工
- 引渡/入居時期
- 相談
- 小学校区
- 秦小学校区
- 中学校区
- 愛宕中学校区
- 取引態様
- 仲介
通話無料!
お電話でのお問い合わせはこちらから
- 0120-770-880
- 受付時間/9:00~18:00




高知市加賀野井の新築一戸建てです。高台の角地に立地。
万々方面・薊野方面のどちらへもアクセスしやすく、
通勤やお出かけにも便利な立地です。
建築確認番号R0700644
担当: 永見 周三